04 February 2026, 20:07:57
⁣ ⁣
For the past 24 hours: 89 objects added, 165 objects edited, 35 objects removed.


Стрелка-Плюс (тыл)


Russian Federation > Москва

Alert type
object direction type:


Azimuth: Distance: Angle:
Speed limit:
Coordinates:

Do not check for duplicates in the database
description:
Driver information: (RU)

Information for the driver: (EN)

Time:
Test
Confirm
cancel
add comment
add photo

Drag an image here or click the button to select files

22 August 2016, 09:37:54
The object has been added to the base
22 August 2016, 09:39:17
0

30 December 2016, 04:49:42
0

, changed object type from  Lane Control Camera Lane Control Camera to  Static speed camera Static speed camera.

30 December 2016, 04:49:42
0

, changed object description from 'Автоураган-ВС, контроль полосы ОТ' to 'АвтоУраган-ВСМ-2'.

24 January 2017, 07:14:44
0

, changed object latitude from 37.820495 to 37.820060

24 January 2017, 07:14:44
0

, changed object longitude from 55.811827 to 55.811782

24 January 2017, 07:14:44
0

, changed control area.

24 January 2017, 07:14:44
0

, changed object type from  Static speed camera Static speed camera to   .

24 January 2017, 07:14:44
0

, changed object description from 'АвтоУраган-ВСМ-2' to 'АвтоУраган-ВСМ-2 (тыл)'.

24 January 2017, 07:16:00
0
Ураган подтверждаю, развёрнут в тыл, т.е. в центр.

05 March 2017, 20:47:26
1

06 July 2017, 15:38:43
0
пришел штраф.

06 July 2017, 15:41:38
0
с какого фига там 60 вообще?

06 July 2017, 16:01:53
0
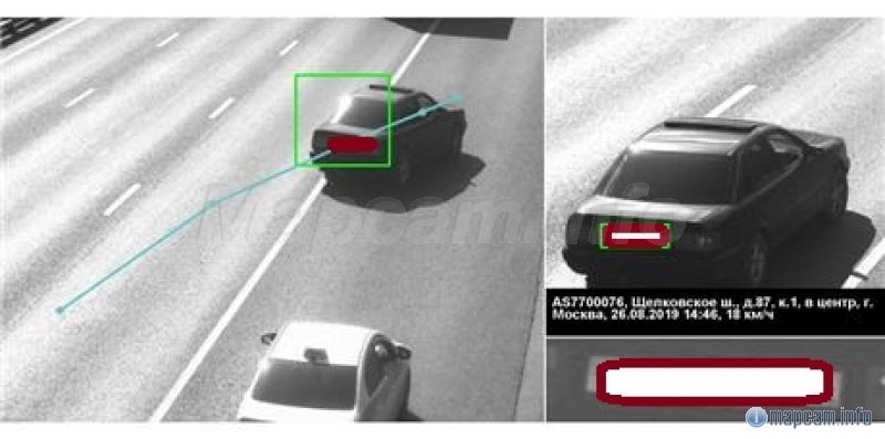
Фото не выложите? Текст внизу будет очень интересен. Номер авто можете затереть, личные данные здесь никого не интересуют. ;)

06 July 2017, 16:33:36
0
Завтра я выложу. Сегодня видел на бумаге. Думал уже актуализирована точка.

06 July 2017, 16:53:28
0
Нет. На Щелчке это последний анноуинг.

06 July 2017, 17:20:04
2

06 July 2017, 17:50:47
0
Спасибо, вот это дело! +

06 July 2017, 17:54:54
1
Осталось 85 неопознанных "Ураганов" из 500. Темп неплохой. ::)

09 July 2017, 14:20:14
0
Актуально! Лупит в зад.

22 July 2017, 10:53:39
1

22 July 2017, 10:54:14
0
Актуально. +1

12 August 2017, 11:31:35
1

30 August 2017, 08:37:57
1
Будьте бдительны
Будьте бдительны

30 August 2017, 09:36:56
0
Плюс.

02 November 2017, 12:16:12
1

25 November 2017, 12:28:22
0
штрафует на всех полосах? или только на 2х правых?

25 November 2017, 15:45:58
0
Контролирует до 4 полос.

28 March 2018, 12:57:32
0

, changed control area.

08 May 2018, 06:24:05
0

08 May 2018, 06:24:34
0
Актуально +1

16 June 2018, 10:39:09
0

, changed camera model.

05 July 2018, 14:48:33
0

25 July 2018, 08:15:30
0

20 August 2018, 05:54:26
0

20 August 2018, 05:59:31
0

Ashkrmane, changed object type from   to  Traffic control complex Traffic control complex.

20 August 2018, 05:59:31
0

Ashkrmane, changed additional information (RU): \"

20 August 2018, 05:59:39
0
Разметка
Разметка

20 August 2018, 06:53:29
0

, changed additional information (RU): \"

20 August 2018, 06:54:19
2
Здесь съезд на дублёр, выделенки нет.

27 August 2018, 10:46:43
0
Спасибо.

30 August 2018, 05:17:52
0
12.16.1 - Несоблюдение требований знаков или разметки, за искл.случаев, предусм.др.статьями гл.12
12.16.1 - Несоблюдение требований знаков или разметки, за искл.случаев, предусм.др.статьями гл.12

22 October 2018, 10:12:49
0

22 October 2018, 10:12:57
0

10 November 2018, 17:03:34
0

12 April 2019, 14:05:34
0

21 April 2019, 18:48:19
0

17 May 2019, 07:25:42
0

, changed warning direction from 77 to 82.

01 September 2019, 18:32:53
0

01 September 2019, 18:33:10
0
12.16.1 - Несоблюдение требований знаков или разметки, за искл.случаев, предусм.др.статьями гл.12

15 November 2019, 18:01:08
0

sos_Cuba, changed object type from  Traffic control complex Traffic control complex to   .

27 November 2019, 17:24:20
0

sos_Cuba, changed additional information (RU): \"

21 December 2019, 20:04:25
0

yuryleb, changed warning direction from 82 to 77.

21 December 2019, 20:04:25
0

yuryleb, changed object notification distance from 350 to 300.

23 January 2020, 15:00:59
0

10 February 2020, 11:48:33
0
12.16.1 - Несоблюдение требований знаков или разметки, за искл.случаев, предусм.др.статьями гл.12

10 April 2021, 20:33:28
0

gramgr, changed control area.

10 April 2021, 20:33:28
0

gramgr, changed warning direction from 77 to 81.

10 April 2021, 20:33:28
0

gramgr, changed object notification distance from 300 to 298.

10 April 2021, 20:34:19
0
фонит на дублере, отвернул чуток

09 August 2021, 18:57:05
0

19 August 2021, 16:44:02
0

ShpurloS, changed object latitude from 37.820060 to 37.820107

19 August 2021, 16:44:02
0

ShpurloS, changed object longitude from 55.811782 to 55.811788

19 August 2021, 16:44:02
0

ShpurloS, changed control area.

19 August 2021, 16:44:55
0
Чуть-чуть сдвинул, клинило участок контроля на дублере

20 February 2022, 19:53:34
0

balabol.1974, changed control area.

20 February 2022, 19:53:34
0

balabol.1974, changed object type from  Traffic control complex Traffic control complex to  Static speed camera Static speed camera.

20 February 2022, 19:53:34
0

balabol.1974, changed object description from 'АвтоУраган-ВСМ-2 (тыл)' to 'МУЛЯЖ! АвтоУраган (рейтинг ноль)'.

20 February 2022, 19:53:34
0

balabol.1974, changed additional information (RU): \"

20 February 2022, 19:54:02
0
выведена из эксплуатации -1

20 February 2022, 19:54:05
0
выведена из эксплуатации -1

20 February 2022, 19:54:08
0
выведена из эксплуатации -1

20 February 2022, 19:57:23
0
рейтинг 0 -1

20 February 2022, 19:57:26
0
рейтинг 0 -1

20 February 2022, 19:57:29
0
рейтинг 0 -1

23 February 2022, 12:02:03
0
См Выше -1

23 February 2022, 12:02:06
0
См Выше -1

23 February 2022, 12:02:09
0
См Выше -1

18 August 2022, 06:46:23
0

18 August 2022, 06:47:33
0
на этом месте установлен блок, похожий на Стрелка-СТ

18 August 2022, 09:23:48
0

balabol.1974, changed object type from  Static speed camera Static speed camera to  Lane Control Camera Lane Control Camera.

18 August 2022, 09:23:48
0

balabol.1974, changed object description from 'МУЛЯЖ! АвтоУраган (рейтинг ноль)' to 'Стрелка-Плюс (тыл)'.

18 August 2022, 09:23:48
0

balabol.1974, changed camera model.

18 August 2022, 09:24:29
0
актуально +1

18 August 2022, 09:24:33
0
актуально +1

18 August 2022, 09:24:38
0
актуально +1

18 August 2022, 09:38:40
0

balabol.1974, changed additional information (RU): \"

02 January 2023, 06:47:53
0

balabol.1974, changed object type from  Lane Control Camera Lane Control Camera to  Traffic control complex Traffic control complex.

02 January 2023, 06:47:53
0

balabol.1974, changed object notification distance from 298 to 300.

02 January 2023, 06:47:53
0

balabol.1974, changed additional information (RU): \"

12 September 2023, 07:51:08
0

12 September 2023, 07:51:29
0
Штраф +1

12 September 2023, 07:51:33
0
Штраф +1

12 September 2023, 07:51:36
0
Штраф +1

02 June 2025, 19:10:30
2

add comment