04 February 2026, 07:56:41
⁣ ⁣
For the past 24 hours: 88 objects added, 97 objects edited, 15 objects removed.


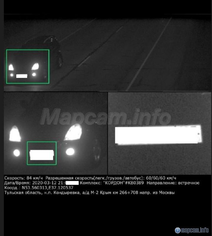
Кордон [266км 708м]


Russian Federation > Тульская область

Alert type
object direction type:


Azimuth: Distance: Angle:
Speed limit:
Coordinates:

Do not check for duplicates in the database
description:
Driver information: (RU)

Information for the driver: (EN)

Time:
Test
Confirm
cancel
add comment
add photo

Drag an image here or click the button to select files

28 July 2012, 10:02:59
1
Стоят

11 July 2013, 12:22:11
0

, changed object description from '' to 'Тренога КРИС-П'.

11 July 2013, 12:23:40
0
06.07.13 в 10.40 стояли треноги КРИС в обоих направлениях на выездах из села

11 July 2013, 12:23:58
0
видел +1

21 July 2013, 16:12:31
0
Видел. +1

18 August 2013, 12:41:26
0
Часто здесь ставят +1

21 September 2014, 06:53:25
1
Установили
Установили "Кордон" Надо изменить категорию и направление

21 September 2014, 23:12:35
0
"КОРДОН" – одновременный контроль всех целей на 4-х полосах движения в обоих направлениях.
http://www.simicon.ru/rus/product/gun/cordon.html

21 September 2014, 06:56:13
0
Снимал по дороге в Орел, смотрит на Тулу
Снимал по дороге в Орел, смотрит на Тулу

21 September 2014, 23:10:36
0

Johannes, changed object type from  Portable Camera (trap) Portable Camera (trap) to  Static speed camera Static speed camera.

21 September 2014, 23:10:36
0

Johannes, changed object notification distance from 500 to 700.

21 September 2014, 23:10:36
0

Johannes, changed object description from 'Тренога КРИС-П' to 'Кордон'.

21 September 2014, 23:15:46
0
Упс. Получаются дубли. Здесь рейтинг у точки высокий, из-за этого лучше данную точку оставить, а новую http://mapcam.info/speedcam/point.php?idx=553796
к сожалению удалить:

22 September 2014, 17:59:52
0

Johannes, changed object latitude from 37.119460 to 37.120418

22 September 2014, 17:59:52
0

Johannes, changed object longitude from 53.559460 to 53.560370

22 September 2014, 18:01:39
0
Откорректировал по Панорамам исходя из фото: http://goo.gl/maps/FTrmh
Более точное местоположение можно снять по прибору, стоя непосредственно под камерой.

26 September 2014, 15:23:47
0
Подтверждаю ... +1

26 September 2014, 15:59:57
0
Мои координаты: 53.5606 37.1207

26 September 2014, 16:05:31
0

S.Седой, changed object latitude from 37.120418 to 37.120702

26 September 2014, 16:05:31
0

S.Седой, changed object longitude from 53.560370 to 53.560599

27 September 2014, 19:17:27
0
Зачем менять координаты, если человек не написал как он их снимал? Погрешность в 30 метров.

27 September 2014, 19:19:04
0

Johannes, changed object latitude from 37.120702 to 37.120418

27 September 2014, 19:19:04
0

Johannes, changed object longitude from 53.560599 to 53.560370

06 March 2016, 13:23:43
0
Просьба к автору разбить точку на две, одну с подтипом "камера в спину". Спасибо.

13 June 2016, 05:21:58
0
есть информация, что камеры там больше нет. Насколько точная не знаю - информация от пользователя приложения Waze от 08.06.2016. Хотелось бы уточнить, насколько это действительно так

13 June 2016, 20:33:54
0
Камеры нет, но возможно вернут
Камеры нет, но возможно вернут

24 July 2016, 19:16:54
0
камеры так и нет. не много ли времени для поверки )))

24 July 2016, 21:20:27
0

27 July 2016, 14:11:13
0
камеры нет -1

27 August 2016, 19:48:31
0
Рейтинг точке возвращай. Кордон на месте.

27 August 2016, 19:54:32
0
а, 4 мало ? :)

27 August 2016, 19:56:01
0
Автора просили разбить точку на две ещё в Марте.
Реакции не последовало.
Поэтому разбиваю я... .

27 August 2016, 19:58:02
0
Автор - народ ;)

27 August 2016, 19:57:19
0

nike31, changed warning direction type from Two directions to In a certain direction.

27 August 2016, 19:57:19
0

nike31, changed warning direction from 215 to 35.

27 August 2016, 19:57:19
0

nike31, changed object notification distance from 700 to 800.

27 August 2016, 21:57:32
0

Johannes, changed object notification distance from 800 to 600.

27 August 2016, 21:58:07
0
Для Кордона 800 избыточно.

27 August 2016, 22:26:12
0
ОК. Ставлю как и было.

27 August 2016, 22:26:37
0

nike31, changed object notification distance from 600 to 700.

03 December 2016, 15:12:30
1

13 May 2017, 04:22:29
0
Кордон в Кондыревке 9 мая 2017
Кордон в Кондыревке 9 мая 2017

01 July 2017, 12:55:37
1

11 February 2018, 09:03:45
0

vaz2015, changed object description from 'Кордон' to 'Кордон (266км 708м)'.

15 May 2018, 13:45:55
0

kenalog, changed camera model.

11 July 2018, 17:09:39
0

12 September 2018, 16:07:31
0
Мотоцикл не актуально -1

14 July 2019, 18:25:47
0
для мото не актуально -1

14 July 2019, 18:39:28
0
Мото -1

14 July 2019, 19:05:45
0
Мото ноль -1

27 March 2020, 07:02:59
0

27 March 2020, 07:04:01
0

vaz2015, changed object description from 'Кордон (266км 708м)' to 'Кордон [266км 708м]'.

12 April 2021, 22:27:14
0

10 August 2021, 08:04:56
0

28 August 2023, 14:34:39
0

kenalog, changed object type from  Static speed camera Static speed camera to  Traffic control complex Traffic control complex.

28 August 2023, 14:34:39
0

kenalog, changed additional information (RU): \"

28 August 2023, 14:35:07
0

kenalog, changed additional information (RU): \"

05 November 2024, 18:56:10
0

05 November 2024, 18:56:36
0
Демонтаж

05 November 2024, 19:04:09
0
На удаление -1

05 November 2024, 19:04:13
0
На удаление -1

05 November 2024, 19:04:16
0
На удаление -1

05 November 2024, 20:07:48
0
см выше -1

05 November 2024, 20:07:51
0
см выше -1

05 November 2024, 20:08:09
0
, changed object type from  Traffic control complex Traffic control complex to  Other danger Other danger.

05 November 2024, 20:10:40
0
, changed object notification distance from 700 to 100.
, changed object view angle from 15 to 10.

05 November 2024, 20:11:07
0

06 November 2024, 04:37:39
0
демонтаж -1

06 November 2024, 04:37:42
0
демонтаж -1

06 November 2024, 04:38:00
0
, changed warning direction from 35 to 0.

06 November 2024, 12:56:10
0
См выше. Демонтаж -1

06 November 2024, 12:56:14
0
См выше. Демонтаж -1

08 December 2024, 09:40:53
0
Демонтаж -1

08 December 2024, 09:40:56
0
Демонтаж -1

add comment