11 May 2026, 23:28:58
⁣ ⁣
For the past 24 hours: 63 objects added, 55 objects edited, 7 objects removed.


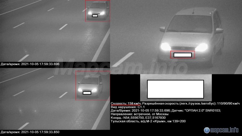
Орлан 2.0 [139км 200м]


Russian Federation > Тульская область

Alert type
object direction type:


Azimuth: Distance: Angle:
Speed limit:
Coordinates:

Do not check for duplicates in the database
description:
Driver information: (RU)

Information for the driver: (EN)

Time:
Test
Confirm
cancel
add comment
add photo

Drag an image here or click the button to select files

26 March 2020, 14:47:39
The object has been added to the base
26 March 2020, 15:03:11
0
Скрины см в соседней точке https://mapcam.info/speedcam/point.php?idm=X5SNILw6-gf

06 April 2020, 19:00:48
0

serezhka, changed object description from 'Стационарная камера.' to 'Астра-Трафик'.

06 April 2020, 19:00:48
0

serezhka, changed camera model.

20 April 2020, 10:22:34
0

balabol.1974, changed object latitude from 37.516775 to 37.516736

20 April 2020, 10:22:34
0

balabol.1974, changed object longitude from 54.555291 to 54.555518

20 April 2020, 10:22:34
0

balabol.1974, changed warning direction from 353 to 352.

20 April 2020, 10:22:34
0

balabol.1974, changed object notification distance from 500 to 700.

20 April 2020, 10:22:34
0

balabol.1974, changed object view angle from 15 to 20.

20 April 2020, 10:22:34
0

balabol.1974, changed object description from 'Астра-Трафик' to 'Орлан 2.0'.

20 April 2020, 10:22:34
0

balabol.1974, changed camera model.

20 April 2020, 10:22:49
0
мото 0 -1

11 June 2020, 14:58:57
0

kenalog, changed object description from 'Орлан 2.0' to 'Орлан 2.0 [139км 200м]'.

01 November 2021, 20:38:59
0

silandser, changed object notification distance from 700 to 900.

01 November 2021, 20:38:59
0

silandser, changed object view angle from 20 to 35.

19 November 2021, 15:32:18
0

19 November 2021, 15:32:41
0
Подтверждение штрафом +1

19 November 2021, 15:32:43
0
Подтверждение штрафом +1

01 November 2022, 16:06:43
0

kenalog, changed speed limit from 110 to 90.

21 December 2022, 11:26:05
0

vaz2015, changed speed limit from 90 to 70.

31 March 2023, 21:18:38
0

kenalog, changed speed limit from 90 to 110.

31 March 2023, 21:18:38
0

kenalog, changed speed limit from 70 to 90.

09 November 2023, 14:24:52
0

ilias_div, changed speed limit from 110 to 90.

09 November 2023, 14:25:57
0
В целях снижения аварийности  до 31 марта 2024 года ограничен скоростной режим до 90 км/ч на участке автодороги М-2 «Крым» км 108-км 177 292.  Новость: http://mh.rosavtodor.gov.ru/department/press-center/novosti/658411

02 April 2024, 17:31:37
0
, changed speed limit from 90 to 110.

05 November 2024, 20:03:46
0
, changed speed limit from 110 to 90.

09 November 2024, 19:15:38
0

09 November 2024, 19:16:35
0
6 ноября ,ограничение 110.

10 November 2024, 07:20:34
0
Была новость о снижении с 1 ноября скорости до 90 кмч https://mh.rosavtodor.gov.ru/department/press-center/novosti/708704
Возможно, изменение настроек камер не шибко быстрое занятие.

25 February 2025, 08:07:53
0

02 April 2025, 06:04:36
0
, changed speed limit from 90 to 110.

02 April 2025, 06:05:10
0
С 1 апреля  на скоростном  участке автодороги М-2 «Крым» км 108 000 -км 177 292 в Заокском и Ленинском районах скоростной режим будет  увеличен до 110 км/ч.

https://mh.rosavtodor.gov.ru/department/press-center/novosti/712903

31 October 2025, 15:51:23
0
, changed speed limit from 110 to 90.

31 October 2025, 16:11:08
0
, changed speed limit from 90 to 70.

31 October 2025, 16:21:13
0
, changed speed limit from 70 to 90.

01 April 2026, 08:08:11
0
, changed speed limit from 90 to 110.

add comment